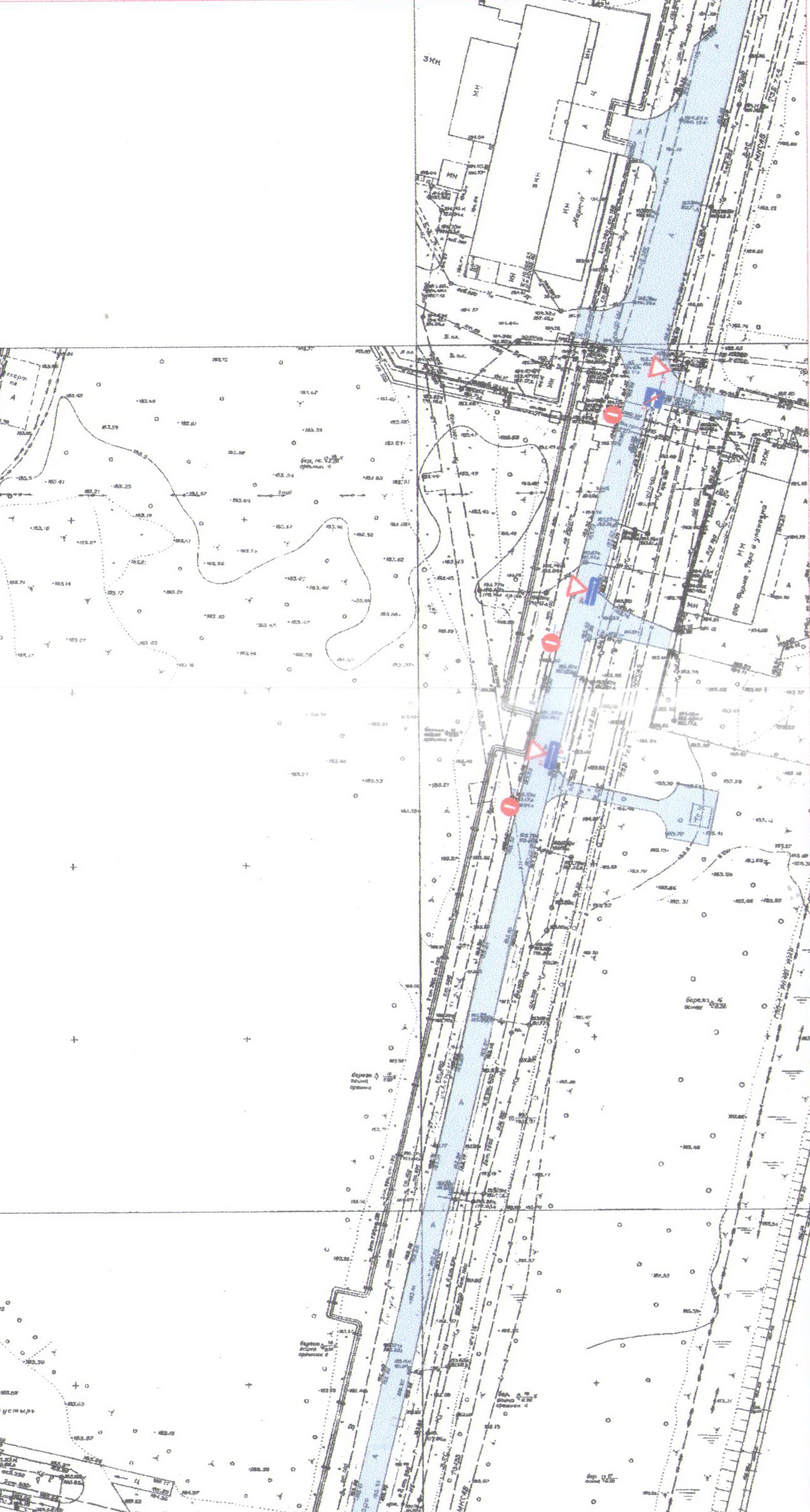
По итогам проведенного анализа дорожно транспортной безопасности, Комиссией по обеспечению безопасности дорожного движения принято решение об организации одностороннего движения и введения ограничения на движение грузовых автомобилей в соответствии с утвержденной схемой на участке автомобильной дороги по ул. Красных Зорь от пересечения с улицей Королева до ООО СМП «МАРК – 4» на время до начала работ по реконструкции данного участка автомобильной дороги.
В период с 25 по 30 ноября на участке автомобильной дороги по ул. Красных Зорь от пересечения с улицей Королева до ООО СМП «МАРК – 4» будут установлены соответствующие дорожные знаки в соответствии с утвержденной схемой организации одностороннего дорожного движения.
С целью регулирования дорожного движения, на данном участке будет усилено дежурство нарядов ДПС ГИБДД ОМВД России по г. Обнинску.
Будьте внимательны и соблюдайте правила дорожного движения.
Схема движения на участке (скачать)

Схема движения на участке (скачать)

Администрация города